Rich Bevis, a pilot based at Middletown Regional Airport/Hook Field, said he received a call from the Columbus Air Traffic Control Center reminding him of the TFR that went into effect at 4:45 p.m. Thursday. The NOTAM was updated and extended the TFR until 1:30 a.m. Friday. He shared that information with other area pilots on the Friends of the Middletown Airport Facebook page.
Bevis said TFRs have been in place since 9/11 attacks.
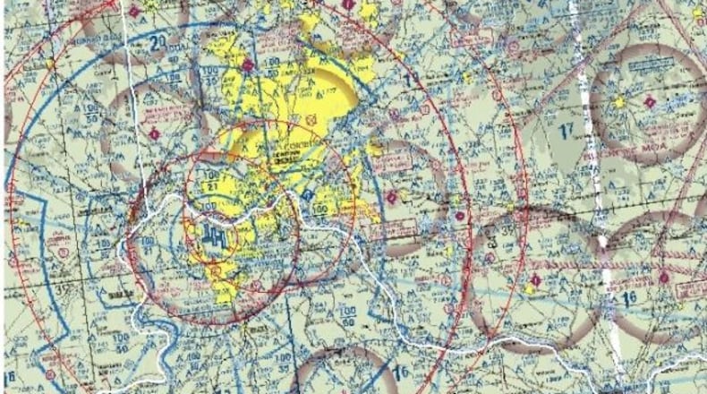
The NOTAM, which is an FAA notice containing information essential to personnel concerned with flight operations, but not known far enough in advance to be publicized by other means. The NOTAM is marked with several rings where pilots cannot operate an aircraft — those areas would include the Cincinnati/Northern Kentucky International Airport where Air Force One landed this evening and downtown Cincinnati where the president will be conducting his rally at U.S. Bank Arena.
The Middletown airport is in the farthest ring in the restricted area and the TFR covers many airports in the area, Bevis said. The TFR does not permit aircraft to fly below 17,999 feet.
“Flights can happen if the aircraft are on an active flight plan, actively talking to Air Traffic Control, and squawking a discrete code assigned by ATC on the aircraft’s transponder,” Bevis said. “Casual flying, skydiving, ultralights, sightseeing, etc. are not allowed.”
The restriction also affected the Monroe Police Department’s Monroe Night Out, which was held tonight at Monroe High School on Yankee Road. Medical helicopters scheduled to participate were prevented from doing so.
The TFR has exceptions and does allow aircraft arriving or departing from CVG; law enforcement, firefighting, and medical helicopters on active missions; aircraft operations necessitated for safety or emergency reasons. All aircraft approved to operate within the TFR must be squawking an ATC discrete code at all times and remain in two-way radio communications with ATC.
“If you do fly (in a TFR without permission), be prepared for the F-16 visit from above,” Bevis said.
About the Author

