Construction company, Todd Holmes LLC, is set to begin building Owl’s Landing as soon as Spring 2023. While prep work is underway for Owl’s Landing, South Forest Edge is still in the preliminary stages before they begin construction.
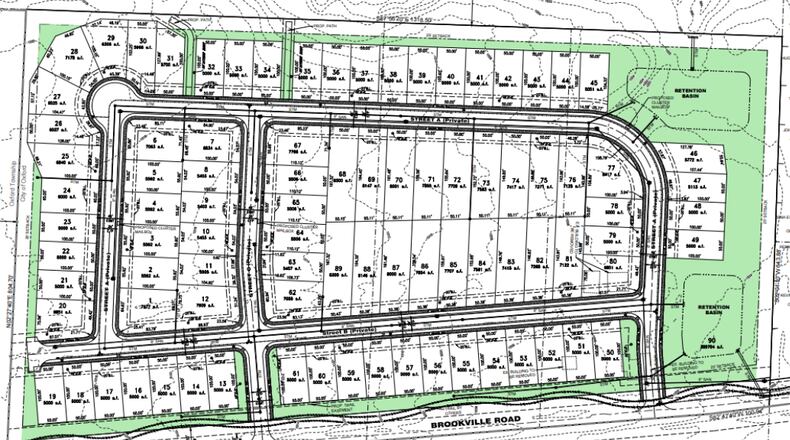
Owl’s Landing will offer single-family homes about 40 feet wide and will be arranged in five different floor plans ranging from 1,600 to 2,300 square feet. The subdivision will have 86 plots over 22 acres.
The subdivision will be near the Oxford aquatic center, the Oxford community parks and the biking and walking trail.
“Proximity to the park certainly is interesting for the house landing development,” said Economic Development Specialist Seth Cropenbaker. “There may be folks who are looking for that proximity to the park. The Oxford Area Trail system is going to run immediately adjacent to it and through portions of that neighborhood.”
“Block A” of Owl’s Landing was approved by the city council July 19, 2022, and was recorded with the Butler County Recorder as of Jan. 5, 2023. Within this section, 39 plots were initially planned, but as grading and construction began, the developer requested eight additional lots in Block A. Last week, “Block B” was approved to develop three of the remaining 11 acres for new lots, streets and open spaces.
Todd Holmes LLC, moved to change several names in their subdivision: Great Horned Drive to Parker Drive, Screech Avenue to Cooper Avenue and Snowy Lane to Griffey Street.
South Forest Edge, owned by 4 Leaf Development, will contain 57 single-family units over 11 acres, intended primarily to serve seniors and retirees. New private streets will be built within the development to connect the houses to the public Lake Forest Drive.
South Forest Edge Section 1 and South Forest Edge Section 2 are to be constructed on opposite sides of Lake Forest Drive and connected by a pedestrian bridge. South Forest Edge Section 1 will host 36 single-family “landominiums,” with Section 2 at 21 single-home lots.
“The development intended to have a HOA overlay, particularly the South Forest Edge, for stage development for retirees and the adult senior community,” said Cropenbaker.
Bowen National Research, commissioned by Oxford in 2020 to evaluate the housing market, reported that there is very limited affordable housing in the market, particularly housing serving seniors.
The city of Oxford has reaffirmed affordable housing as one of its top priorities in 2023.
“I personally would kind of view the idea of affordable housing as all housing types at all prices,” Cropenbaker said. “We need all housing types to support all types of members of our community participants in our economy, and those housing types need to be at prices that they would consider.”
This story first appeared on OxfordObserver.org, a publication of content by Miami University journalism students.
About the Author
